Objektart
Adresse
Objektdaten
Details
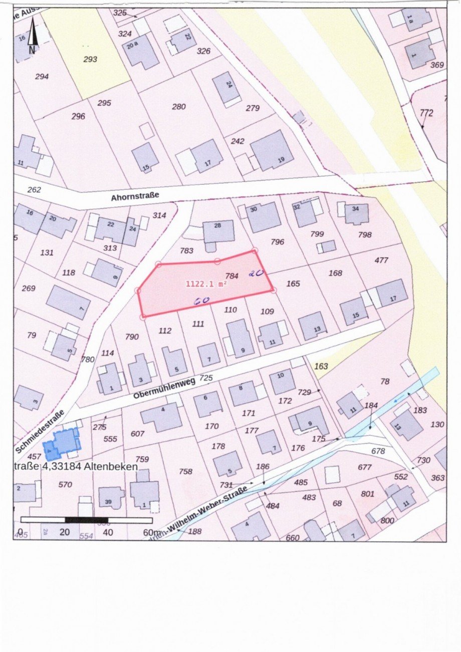
In Ruhiger Lage von Altenbeken haben Sie die seltene Möglichkeit, dieses außergewöhnliche Baugrundstück mit ca. 1.121 m² Größe zu erwerben.
Das Grundstück ist erschlossen! Eine großartige Gelegenheit für private Bauherren, Bauträger und Investoren!
Die Bebauung richtet sich nach § 34 BauGB (Nachbarschaftsbebauung)
l
Grd: 1121 m²
§ 34 BauGB (Nachbarschaftsbebauung)
Hanglege, Südausrichtung
Das Grundstück befindet sich in einem Ruhigen Wohngebiet in Altenbeken in der Schmiedestraße.
Sonniges Hanggrundstück mit schönem Fernblick in erholsamer Lage.
In unmittelbarer Nähe finden sich diverse Einkaufsmöglichkeiten, Schulen und öffentliche Verkehrsanbindungen, die den Alltag erleichtern. Eine super Anbindung an den Fernverkehr bietet diese Liegenschaft ebenfalls.
Ich bin damit einverstanden, dass mir Karten von Google angezeigt werden. Es gelten die Datenschutzbedingungen von Google (https://policies.google.com/privacy).
Ich bin einverstanden